Plan to use KU site for new public transit hub moves forward

Lot 90, the parking lot in front of Kansas University's Ambler Student Recreation Fitness Center, is highlighted on this map of the southern portion of KU's campus along Naismith Drive.
The City Commission gave its unanimous approval Tuesday for the Lawrence Transit System and Kansas University to explore a KU parking lot as the future site of a joint multimodal hub.
The development — so far proposed as a parking deck and city transit center with bike storage, public waiting areas and restrooms — is being suggested for Lot 90, in front of KU’s Ambler Student Recreation Fitness Center. KU and the Lawrence Transit System needed commissioners’ approval Tuesday to start the planning process and to apply for a federal grant that, if awarded, would fund a majority of the project.
“I’m certain one of the things we want to do is that if this is the location, we make sure we have made the correct decision on where traffic goes, what the impact is going to be, what the environmental concern is going to be,” Mayor Mike Amyx said. “We have gone through this before.”
The Lawrence Transit System has been searching for a new location for its central transfer hub for more than two years.
Lot 90 was selected after the City Commission rejected in July the most recent plan, to locate a transit center at 21st Street and Stewart Avenue. At the time, commissioners directed Robert Nugent, the city’s transit administrator, to look for a location in KU’s central district, which is undergoing a $350 million renovation.
Nugent and KU representatives settled on Lot 90 after deeming a spot in the central district unfeasible.
“We talked about this transit center almost a year ago,” Nugent started Tuesday. “Here we are, another year passed. We’ve been looking pretty hard at [Lot 90] over the last several months.”
Before applying to a U.S. Department of Transportation grant by the end of April, Nugent and KU officials will prepare preliminary plans, renderings and an estimated budget for the project, as well as an analysis on how the facility would affect traffic.
That process will start immediately, Nugent said, as will outreach to residents near the proposed site.
Steve Evans, with the University Place Neighborhood Association, spoke to commissioners Tuesday, saying the group wanted to be a part of the planning process. The neighborhood is east of Lot 90, bounded by 19th Street to the South, Sunnyside Drive to the north, Arkansas Street to the west and Louisiana Street to the east.
“So far, we’ve had comments all over the place, both positive and ‘What is this monster that’s going to be happening near our neighborhood?'” Evans said. “For us, just being part of the process early in the game is what’s most important.”
The commission voted 3-0 to explore the site as an option.
Commissioner Lisa Larsen and Vice Mayor Leslie Soden were absent from Tuesday’s meeting. They are both attending a National League of Cities conference in Washington, D.C.
In other business, commissioners:

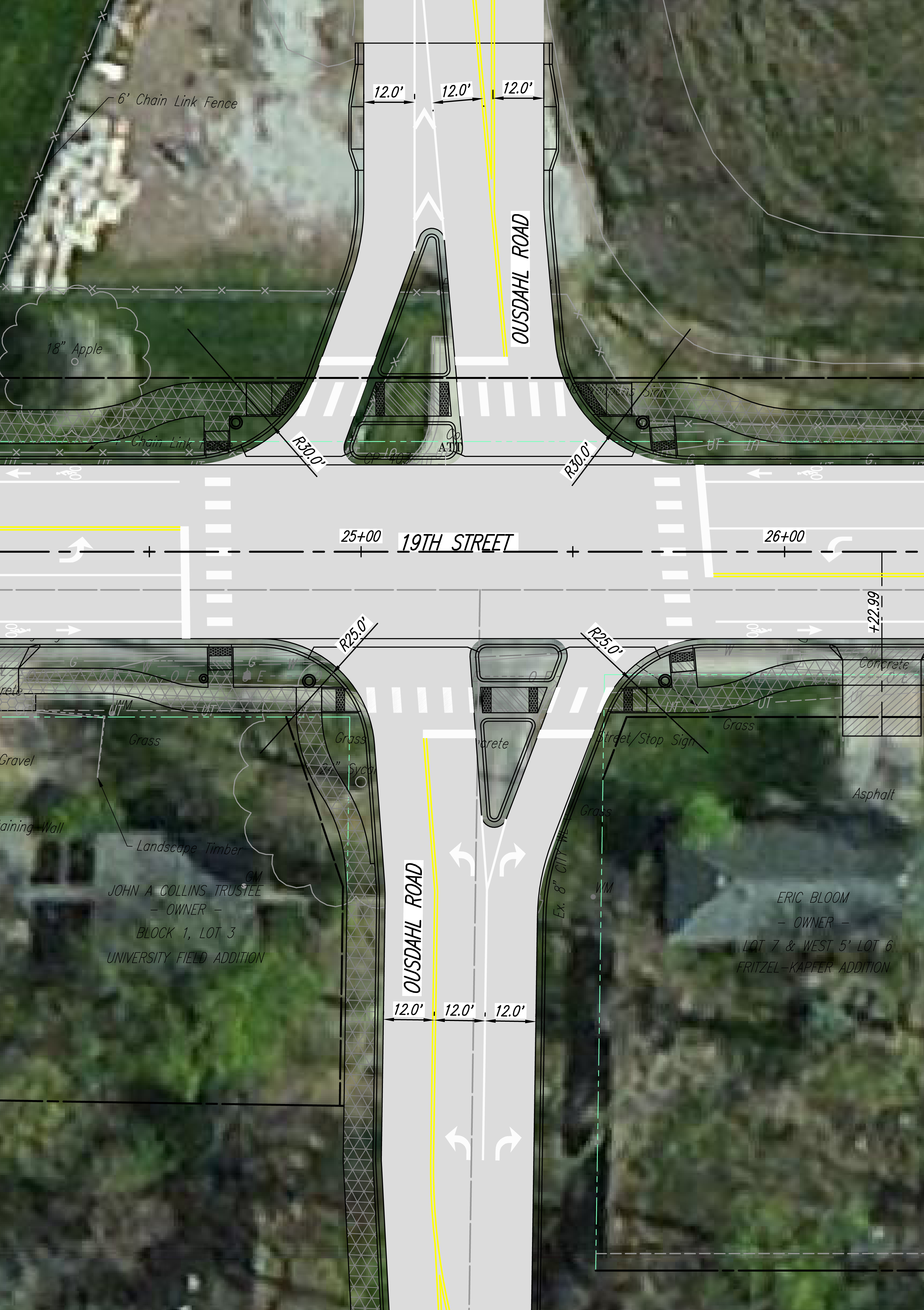
A rendering of the planned reconfiguration of the Ousdahl Road-19th Street intersection.
• Gave unanimous approval for the city to contract for final design of the 19th Street and Ousdahl Road intersection. The intersection, a future primary entrance to KU’s redeveloped Central District, will be rebuilt this summer. A section of 19th Street will be closed for much of the summer to accommodate construction.
KU will install a traffic signal and build the north section of Ousdahl Road, and the city will be responsible for financing the remainder of the intersection. In an effort to prevent traffic to and from KU from cutting through the residential area south of 19th Street, planners decided vehicles traveling on Ousdahl would only be able to make right or left turns onto 19th Street.
• Voted 3-0 to hire a firm to do a study on whether a bike-share program is feasible in Lawrence. The study will be paid for with a $40,000 grant from the Kansas Department of Transportation, as well as $10,000 from the city. The study, which will be complete by the end of 2016, will explore possible locations for the bike-share program and funding options.
• Unanimously approved changing the fee for commercial dog kennels to become licensed to $20 and $10 for annual renewals. The previous fee structure included $20 for a commercial dog kennel fee, plus, if there are more than 10 dogs, $1 extra per dog after 10.







