An update on slow-moving plans for new Casey’s, QuikTrip in Lawrence
photo by: Chad Lawhorn/Journal-World photo
Casey's General Store has filed plans to build a new convenience store at the former Steak 'n Shake restaurant site, which is at the intersection of 31st Street and Nieder Road in south Lawrence.
Convenience stores sometimes make me anxious too. When I enter and see the doughnut case only has one creme-filled pastry left, I break into an anxious sprint. It appears some of you are anxiously wondering whether two major convenience store chains are going to follow through on their previously announced plans to build in Lawrence.
The short answer appears to be yes, both Casey’s and QuikTrip are still on track to open new locations in Lawrence.
The latest round of questions I had received were about plans for a Casey’s General Store to locate at the old Steak ‘N Shake location near 31st and Iowa streets. There had been speculation that Casey’s purchase of the property had fallen through, as work has not yet started there.
But Douglas County records show Casey’s already has purchased the property. I also checked in with officials at the city’s planning department about the project. I was told it is very much an active project. Casey’s has filed both a demolition permit for the old restaurant building on the site and a building permit for the new convenience store structure.
I don’t have any official word from Casey’s, but that’s not usual. The Iowa-based company never got back to me when it opened its first store along Sixth Street earlier this year. (They must be busy putting the creme in the doughnuts.)
The 31st Street project — the location is at 31st and Nieder Road, which is basically the entrance to the SuperTarget shopping center — is more straightforward than the Casey’s project near Sixth and Wisconsin streets. That one required a new traffic light, which slowed down the construction process. City planners have said no such improvements are required for the 31st Street location. The site plan for the project already has been approved.
According to plans filed with the city, the project will be sizable. Plans call for 16 fueling stations at the site — the same number as the Casey’s on Sixth Street — and a 5,700-square-foot store, which I think is a bit larger than the other Casey’s location.
I have no official word on when construction will begin, but based on information from the city, it seems like it will be in position to start soon.

photo by: Courtesy: QuikTrip and city of Lawrence
Renderings show the proposed design for a QuikTrip at Ninth and Iowa streets in Lawrence.
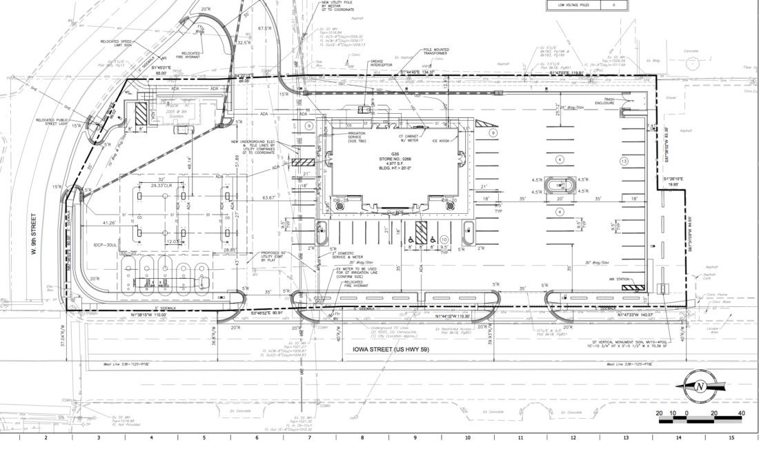
The other question has been about QuikTrip’s plans to build at Ninth and Iowa streets. As we’ve reported, they struck a deal to buy the former Zarco stations that were located on the east side of Iowa Street at Ninth Street.
The old Zarco stations at the site have closed, and some concrete barriers went up months ago. But work hasn’t progressed. There was speculation that project had become doomed because of its plans to vacate a portion of city street.
The site has a small public street that connects Iowa Street to Ninth Street. It allows motorists to turn right off of Iowa Street and enter Ninth Street without going through the Ninth and Iowa traffic signal.
An official at the city’s planning department, though, told me QuikTrip has agreed to build a traditional right-turn lane at the intersection in exchange for the city vacating the small street, which divides the property in half. City officials have determined that the right-turn lane will be an adequate replacement for the small street.
There are still a few more approval processes needed before the QuikTrip project can begin. City commissioners must formally vacate the city street at a future meeting, and a few more technical details of the site plan must be approved.
But my understanding is that vacating the street was the trickiest part of the project. With that issue apparently resolved, it would seem the project is on track to becoming a reality.
Plans filed with the city show 12 fueling stations on the site, and a 5,000-square-foot convenience store that will have a heavy emphasis on ready-to-eat food. A QuikTrip spokesman previously told me that the company considers its stores to be players in the restaurant market. Pizza, flatbread sandwiches, a variety of breakfast items and both grab-and-go and made-to-order sub sandwiches are big parts of the company’s offerings.
We’ll see whether the new store has a bigger offering than the city’s lone QuikTrip at 23rd Street and Haskell Avenue. The new store certainly will have more parking than the existing location. Plans show a large parking lot for about 40 vehicles at the Ninth and Iowa site. The plans also show that the existing Scooter’s drive-thru coffee shop will remain.

photo by: Courtesy: QuikTrip and city of Lawrence
A site plan shows the proposed layout of the QuikTrip development at Ninth and Iowa streets. The convenience store is shown in the center of the site. The fuel pumps are shown near the left edge of the site.







