City of Lawrence seeking funding to build $1.5 million tunnel under Iowa Street

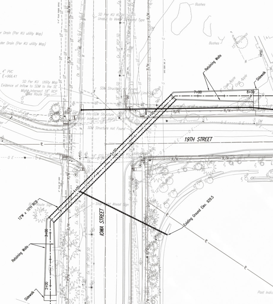
A conceptual plan shows a bicycle and pedestrian tunnel under the intersection of 19th and Iowa Streets.
The City of Lawrence’s newest bikeway may be underground and beneath one of the city’s busiest streets.
The City Commission voted at its meeting Tuesday to apply for a state transportation grant to help pay for a bicycle and pedestrian tunnel under the intersection of 19th and Iowa streets. The grant would cover 80 percent of the project’s $1.5 million cost.
Where the funding for the city’s portion of the project — estimated to be about $300,000 — would come from isn’t final, but commissioners directed city staff to see if the University of Kansas would contribute some funding.

A conceptual plan shows a bicycle and pedestrian tunnel under the intersection of 19th and Iowa Streets.
“The effect of this project, frankly, is to connect the Central District campus with West Campus for pedestrians and bicyclists,” Vice Mayor Stuart Boley said.
The conceptual plan for the tunnel is for it to run diagonally under the intersection, connecting the city’s shared-use path on the west side of Iowa Street with the shared-use path that will soon be added to the north side of 19th Street. The tunnel would provide a direct connection between the university’s West Campus (which includes a park and ride lot) and its new Central District.
City Engineer Dave Cronin said while the tunnel would certainly connect the two areas of KU’s campus, it is also in line with the city’s planned bikeways. He said the tunnel could also be designed in a way to make for easy connections to the residential neighborhood south of 19th Street.
“If you’re trying to bicycle across Lawrence, from the eastside to the westside or vice versa, it could be an opportunity for a safer crossing, having an underpass there,” Cronin said.
Cronin said the design and other specifics of the tunnel would be determined later, and that submitting the grant application did not obligate the city to go forward with the project. Should the city win the grant, Cronin said they propose the match come out of the city’s bicycle and pedestrian funds for 2018, but that funding is up for consideration.
The university’s $350 million Central District redevelopment project is now more than halfway complete. The district includes a new student union, residence hall, student apartment complex, science building, utility plant, and a parking garage. The district will be complete in summer 2018.
City Manager Tom Markus said that asking the university about funding is a “real appropriate conversation,” but also noted that the pedestrian tunnel benefits the city by connecting east and west Lawrence. Markus also said the tunnel could be constructed at the same time as upcoming street reconstruction on 19th Street, and that he hated to pass up an opportunity to make improvements efficiently.
“You try and do utilities, you try and do sidewalks, and you try and do road improvements all at the same time so that you’re in there and then out,” Markus said. “Not constantly returning and tearing things up that you just built.”
Commissioners voted unanimously to apply for the grant, adding the direction to city staff to have a conversation with KU about sharing funding for the match. Cronin said that the city anticipates having to work with KU on the grant application and will discuss whether the university would contribute.
The city will finalize and submit the grant application for the pedestrian tunnel at the intersection of 19th and Iowa streets in the next few week. Cronin said the city expects to hear in the fall whether it has been awarded the grant.







